
Preencha os campos para que um de nossos especialistas entre em contato
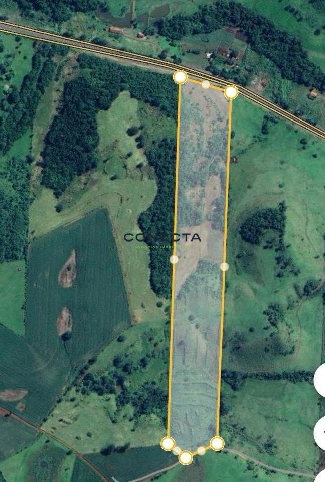
Sitio para venda com 7 alqueires, na região de Urai PR. Propriedade de terra roxa, em topografia plana, atualmente com pastagem, sem benfeitorias, com rio. Localizado na BR 369, entre Urai e Cornélio Procópio. Ótimo para manter pastagem ou culturas de soja, milho. Agende sua visita! Conecte-se.
Preencha os campos para que um de nossos especialistas entre em contato